Midweek Weather Outlook: Coastal Showers & Temperature Swings
While Tuesday will feature mostly sunny skies, a change in the weather pattern midweek will bring an increase in clouds and a chance of showers. A low pressure system has developed off the Virginia coastline, and will slowly meander near the Mid Atlantic coastline over the next 36 hours. [...]
Coastal Low Brings Uncertainty on Wednesday; Forecast Is Quiet Otherwise
Issued: Tuesday, September 9, 2025 A developing offshore low pressure system, visible on current satellite imagery, is expected to serve as the focal point for a wave of low pressure that will track southeast of the region. Forecast guidance remains inconsistent regarding the inland extent of associated precipitation, with some high-resolution [...]
Severe Weather Threat Saturday Afternoon: What to Expect
Severe Weather Threat This Afternoon: What to Expect We’re off to a hazy start across Connecticut today, with wildfire smoke lingering high in the atmosphere. As the day progresses, warm and humid conditions will build—setting the stage for what could be the most robust severe weather setup of the [...]
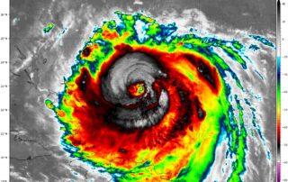
Hurricane Erin Grows Larger and Stronger – Tracks SE of New England Midweek
Hurricane Erin has grown in size and strength overnight. Hurricane hunter aircraft flying into the storm found that hurricane-force winds now stretch out 70 miles from the center, and tropical-storm-force winds reach as far as 200 miles. This is considerably larger than the storm was only 48 hours ago. The eye [...]
Tropical Storm Erin Is Getting Stronger — Almost a Hurricane at Latest Update
Tonight, Tropical Storm Erin has gotten more organized and powerful. A NOAA aircraft flew into the storm and found that its center is now more tightly wrapped in thunderstorms. The strongest winds are on the east side, and the storm is starting to line up better from top to [...]
Tropical Storm Erin Shows Signs of Strengthening as It Tracks Across the Atlantic
As of Wednesday evening, Tropical Storm Erin continues its journey across the open Atlantic, now packing sustained winds of 50 mph. Satellite imagery from GOES-19 reveals a storm that’s becoming increasingly organized. Erin now sports a more symmetric structure, with a well-defined central core and spiral bands radiating outward—hallmarks of [...]
Hazy Skies Return: Wildfire Smoke and a Stretch of Stable Weather
As high pressure settles over eastern Canada and ridging builds along the East Coast, the region is experiencing a stretch of dry and seasonable weather. But while the skies may be mostly clear of rain, they’re not entirely clear—wildfire smoke from western Canada is once again making its presence known, [...]
