Hurricane Milton: Category 5 Storm Heads Towards Florida
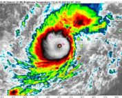
Rapid Intensification and Current Status Hurricane Milton has rapidly intensified over the past 24 hours, transforming into a powerful Category 5 hurricane just northwest of the Yucatán Peninsula. This small but potent storm now boasts wind speeds of 180 mph and a central pressure of 905 mb, making it a formidable force. Milton has benefitted from very favorable environmental conditions, including low wind shear, strong upper-level outflow, and warm waters over the last 36 hours. This has allowed the storm to develop a highly symmetric structure, with a well-defined, compact "pinhole" eye at its center—signs of a rapidly intensifying hurricane in the Gulf of Mexico. The Physics [...]

